Lei Ordinária nº 3.659, de 26 de fevereiro de 2021
Alterado(a) pelo(a)
Lei Ordinária nº 3.940, de 12 de julho de 2022
Vigência a partir de 12 de Julho de 2022.
Dada por Lei Ordinária nº 3.940, de 12 de julho de 2022
Dada por Lei Ordinária nº 3.940, de 12 de julho de 2022
Art. 1º.
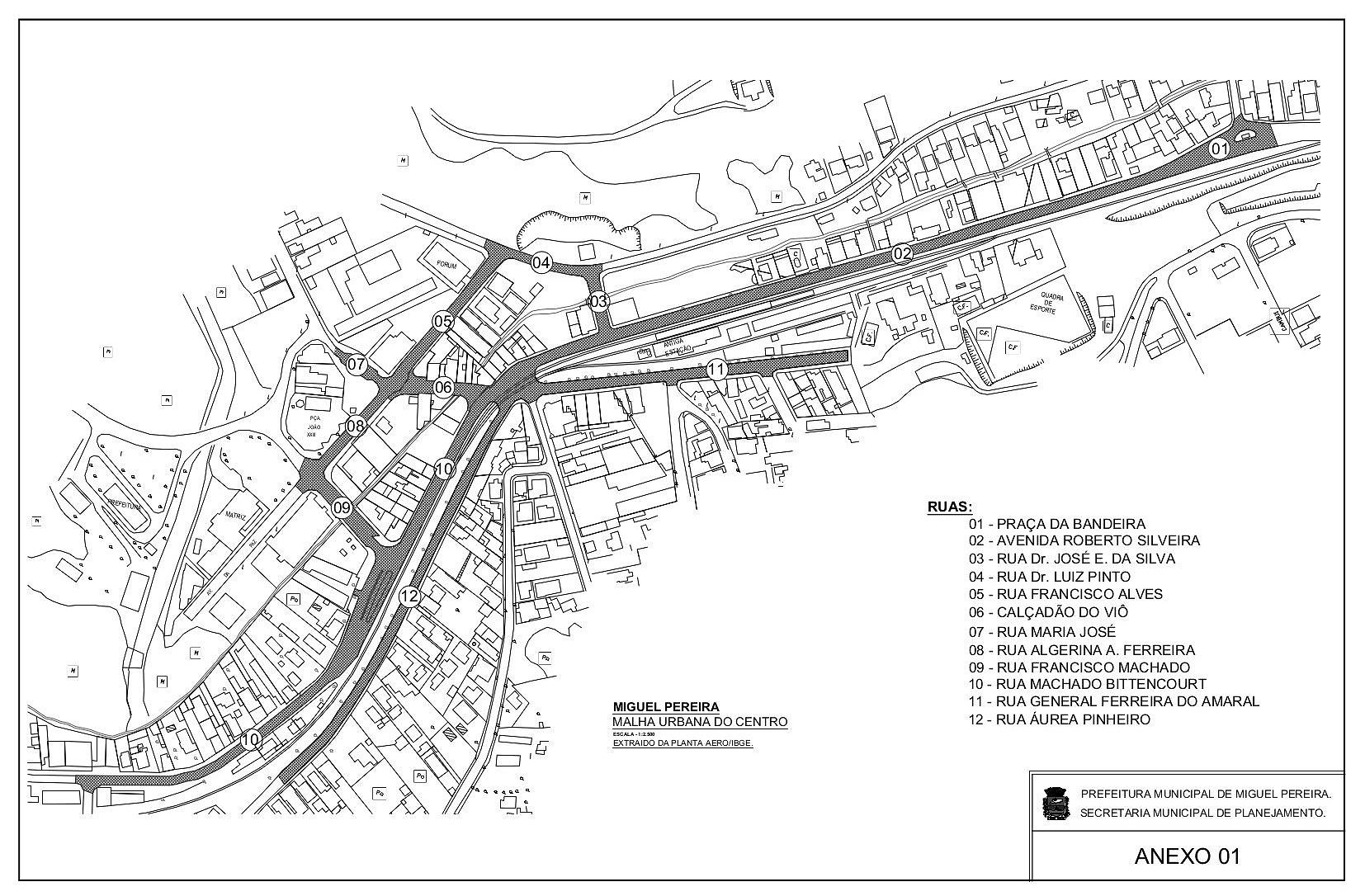
Esta Lei Complementar dispõe sobre a ordenação dos elementos que compõem a paisagem urbana edificada, visíveis a partir de logradouro público no território do Município de Miguel Pereira, instituindo como o centro urbano os logradouros constantes do Anexo 01.
Art. 2º.
Para fins de aplicação desta Lei Complementar, considera-se paisagem urbana edificada a superfície externa de qualquer construção, visível por qualquer observador situado em áreas de uso comum do povo.
Art. 3º.
Constituem objetivos da ordenação da paisagem urbana edificada do Município o atendimento ao interesse público e as necessidades de se estabelecer parâmetros visuais, assegurando, dentre outros, os seguintes:
I –
a estética das construções;
II –
a valorização do ambiente construído;
III –
a percepção e a compreensão dos elementos referenciais da paisagem urbana edificada;
IV –
o equilíbrio de interesses dos diversos agentes atuantes na cidade para a promoção da melhoria da paisagem urbana edificada do Município.
Art. 4º.
As superfícies externas, ou fachadas, das novas edificações, bem como a reforma daquelas já edificadas, constantes nos logradouros objeto do Anexo 01, deverão obedecer aos parâmetros determinados, de forma conceitual no Edital do Concurso nº 001/2019, o qual licitou para premiação e contratação o vencedor do certame que apresentasse o Projeto, devidamente aprovado e vencedor, de arquitetura e urbanismo e/ou engenharia civil, visando à revitalização de fachadas, calçadas e mobiliário urbano.
Parágrafo único
O Poder Executivo constituirá por ato próprio uma Comissão para avaliação dos Projetos de Fachadas apresentados pelos contribuintes na forma do caput deste artigo.
Art. 4º-A.
Para efeitos do cálculo da área mínima para publicidade nas fachadas das edificações comerciais situadas no perímetro do Anexo 01 desta lei, a área da publicidade (em metros quadrados/m2) equivale a 50% do valor da testada (metro linear) que o estabelecimento ocupa no terreno, desde que não ultrapasse 1,20 m de altura.
Inclusão feita pelo Art. 2º. - Lei Ordinária nº 3.940, de 12 de julho de 2022.
§ 1º
A presente regra se aplica às publicidades existentes e as que forem licenciadas após a publicação desta lei.
Inclusão feita pelo Art. 2º. - Lei Ordinária nº 3.940, de 12 de julho de 2022.
§ 2º
Fica estabelecido o prazo de seis meses para adequação das publicidades que não estiverem em conformidade com o disposto nesta lei.
Inclusão feita pelo Art. 2º. - Lei Ordinária nº 3.940, de 12 de julho de 2022.
Art. 4º-B.
A eventual modificação de elemento que compõe a fachada externa dos estabelecimentos comerciais situados no perímetro do Anexo 01 desta lei dependerá de prévio licenciamento junto ao órgão competente no Município.
Inclusão feita pelo Art. 2º. - Lei Ordinária nº 3.940, de 12 de julho de 2022.
Art. 4º-C.
Fica estabelecida multa de R$ 1.200,00 (mil e duzentos reais) para as hipóteses de infração ao disposto nesta lei, em especial a edificação ou alteração de fachada e exibição de publicidade em desacordo com as normas urbanísticas, garantida a ampla defesa e o contraditório em processo administrativo de fiscalização.
Inclusão feita pelo Art. 2º. - Lei Ordinária nº 3.940, de 12 de julho de 2022.
Parágrafo único
A multa prevista no caput será aplicada em dobro nas hipóteses de reincidência.
Inclusão feita pelo Art. 2º. - Lei Ordinária nº 3.940, de 12 de julho de 2022.
Art. 5º.
O Poder Executivo poderá regulamentar por decreto qualquer dispositivo desta Lei.
Art. 6º.
Esta lei entra em vigor na data de sua publicação, revogando-se as disposições em contrário.

